• Pand Type
  • Garage
  • 0
  • Slaapkamer
  • 0
  • Badkamer
  • Staat
  • Area Size
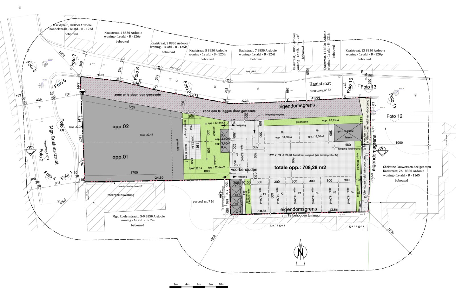
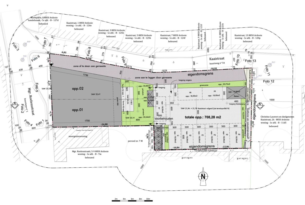
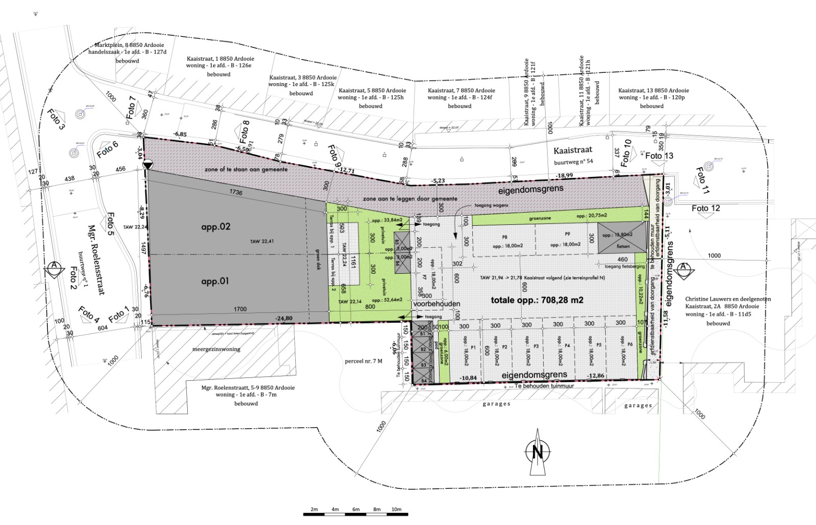
Autostaanplaats te koop op de Markt van Ardooie voor 15.000 euro
  • €15.000

Beschrijving

Wie graag zijn auto op een veilige en eigen autostaanplaats wil parkeren, dichtbij de Markt van Ardooie, vindt hier voor 15.000 euro zijn eigen veilige plak. Interesse? Bel 0477796097 – of mail naar info@immodebo.be 

  • Adres: Monseigneur Roelensstraat 1
  • Stad: Ardooie
  • Provincie: West-Vlaanderen
  • Postcode: 8850
  • Land: België

Details van het pand

Bijgewerkt op november 6, 2025 filiaal van 4:11 am
  • Prijs €15.000
  • Slaapkamer 0
  • Badkamer 0
  • Garage 0
  • Pand Type Garage
  • Pand Status Te Koop
Immo Debo

Stel je vraag!