• Pand Type
  • Huis
  • 4
  • Slaapkamers
  • 1
  • Badkamer
  • 180 m²
  • Area Size
2 open bebouwing nieuwbouwwoning op maat in het hart van Deftinge
  • €416.850

Beschrijving

Unieke kans: nieuwbouwwoning op maat in het hart van Deftinge

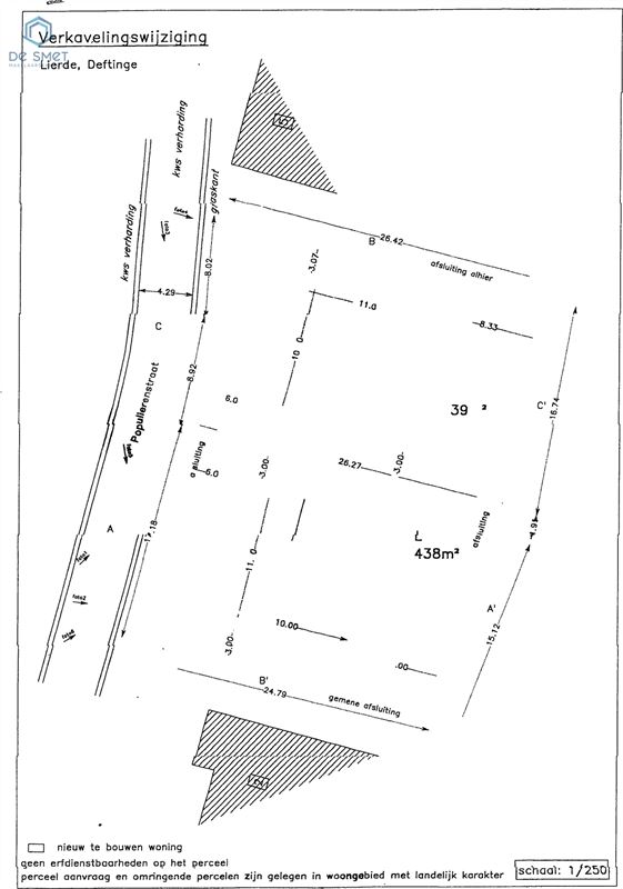
In een rustige zijstraat, op wandelafstand van het centrum van Deftinge, bevindt zich deze kleinschalige verkaveling van twee percelen met een oppervlakte van ca. 438 m² per lot. Een ideale ligging voor wie rustig wil wonen, zonder in te boeten aan bereikbaarheid en voorzieningen.

Op deze percelen kunnen open bebouwingen gerealiseerd worden die volledig naar eigen smaak en wensen ontworpen worden. Zowel stijl, indeling als afwerking zijn vrij te kiezen, in samenwerking met een lokale en ervaren bouwfirma die u begeleidt van eerste ontwerp tot oplevering.

Bouwmogelijkheden:

Breedte woning: ca. 11 meter
Bouwdiepte: ca. 11 meter
Volledig maatwerk mogelijk

De vermelde prijs is een richtprijs en kan aangepast worden in functie van uw persoonlijke keuzes en afwerkingsniveau. Zo behoudt u maximale controle over uw budget én uw droomwoning.

Bent u op zoek naar een nieuwbouwwoning op plan, gebouwd volgens uw eigen visie en met persoonlijke begeleiding? Dan is dit project zeker het ontdekken waard.

Indicatie prijs bouw 416850 € excl btw

Grondprijs 120 000 € onder registratierechten

Interesse of meer informatie?
Reageer via de advertentie en wij nemen zelf contact met u op om een afspraak of verdere toelichting in te plannen.

  • Stad: DEFTINGE
  • Provincie: Oost-Vlaanderen

Details van het pand

Bijgewerkt op februari 17, 2026 filiaal van 9:03 pm
  • Prijs €416.850
  • Bewoonbare oppervlakte 180 m²
  • Grondoppervlakte 438 m²
  • Slaapkamers 4
  • Badkamer 1
  • Pand Type Huis
  • Pand Status Te Koop
Makelaarskantoor De Smet BV

Stel je vraag!

Ook bekeken op My Future Home