Uitzonderlijk project bouwgrond op een gunstige ligging van 1573m² in 3 loten (Ref. 16929)
- €331.900
- €331.900
Beschrijving
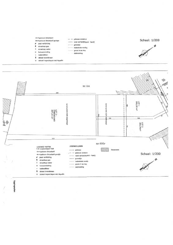
Centraal gelegen op een gunstige ligging in Vladslo bevindt zich dit ruim lot bouwgrond van maar liefst 1.573 m², ideaal voor wie op zoek is naar een interessante investerings- of projectmogelijkheid.
Het perceel is bestemd voor verkaveling in drie afzonderlijke loten, waaronder:
•Twee hoekwoningen van respectievelijk 355 m² en 360 m²
•Eén achterliggend perceel van 858 m²
Deze configuratie biedt tal van mogelijkheden: van een kleinschalig woonproject tot het realiseren van een mooi geheel van drie kwaliteitsvolle gezinswoningen.
Belangrijk: er geldt geen bouwverplichting, waardoor u alle vrijheid heeft om te bouwen op uw eigen tempo of het perceel te gebruiken als investering.
Mits een stedenbouwkundige aanvraag kan dit uitgroeien tot een prachtig woonproject op een rustige, maar goed bereikbare locatie in de dorpskern van Vladslo.
Troeven:
•Centrale ligging nabij voorzieningen
•Groot totaaloppervlak van 1.573 m²
•Mogelijkheid tot verkaveling in 3 loten
•Geen bouwverplichting
•Interessant voor ontwikkelaars of particuliere bouwers
Een unieke kans voor wie toekomstgericht wil investeren in een aangename, landelijke omgeving!
Bel ons op 056/72.48.93 voor een bezoek ter plaatse en reserveer alvast uw bezichtiging of kom gerust vrijblijvend eens langs. We leiden jullie graag even rond. (Ref. 16929).
Adres
Open in Google Maps-
Adres: Werkenstraat 20 +
-
Stad: Vladslo
-
Provincie: West-Vlaanderen
-
Postcode: 8600
-
Land: België
Details van het pand
Bijgewerkt op december 19, 2025 filiaal van 4:10 pm-
Prijs €331.900
-
Grondoppervlakte 1573 m²
-
Slaapkamers 3
-
Bouwjaar 2026
-
Pand Type Huis
-
Pand Status Te Koop
-
Staat Nieuwbouw
Contact
Meer over de verkoperOok bekeken op My Future Home
Uitzonderlijk project bouwgrond op een gunstige ligging van 1573m² in 3 loten (Ref. 16929)
- €331.900